Garat (16410)

Terrain

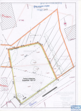
827 m²
53 000 €
Réf 12950-14197

Terrain à bâtir situé à 8 mn de l'hypermarché Carrefour de Soyaux.
Le terrain se trouve dans un petit village à 10 Km d'Angoulême en direction de Périgueux.

Superficie = 827 m2.
L'ensemble est relativement plat (lègère pente en allant vers le Sud).
Possibilité d'y construire une maison de plain-pied.
Projet pouvant intéresser un investisseur.

Terrain déjà viabilisé en ce qui concerne l'eau.
L'électricité sera raccordée au compteur au frais du propriétaire, dès qu'un aquéreur sera intéressé pour acheter le terrain.
Seul le téléphone devra être raccordé au compteur par l'acquéreur.

L'assainissement individuel reste à prévoir.

DPE non concerné.
L'étude géotechnique (G1) a été réalisée et révèle la présence de calcaire dur sous la couche végétale (sans aucun argile).

Le terrain entièrement borné, est entouré de haies sur 2 cotés et d'une clotûre sur les 2 autres bordures.

Vis à vis : 1 maison voisine (visible sur 2 photos).

Transport scolaire avec un arrêt à proximité pour le collège de Soyaux.

L'entrée au terrain donne directement sur le chemin d'accés coté Sud.

La parcelle n'est pas située dans un lotissement et la construction n'est pas soumise au règlement des Bâtiments de France.

On entend quelques bruits dûs à la circulation des véhicules qui passent sur la grande route, mais sans réel visuel pour autant, car il y a plusieurs habitations et batiments qui s'interposent.

Une petite ligne téléphonique en service (un fil) passe au dessus du terrain pour alimenter la maison d'un voisin.

Les informations sur les risques auxquels ce bien est exposé sont disponibles sur le site Géorisques : www.georisques.gouv.fr

N'ATTENDEZ PLUS, VENEZ LE VISITER AVEC Jean-Jacques VITAL DE L'AGENCE TOWER IMMOBILIER AU 06.02.52.27.55
Annonce immobilière rédigée sous la responsabilité éditoriale de Jean-Jacques VITAL - RSAC N°338 153 091 - Angoulême.

Annonce proposée par un agent commercial

A propos de ce bien Caractéristiques de ce bien
  • terrain 827 m²

Financier

Informations financières
Prix de vente honoraires TTC inclus 53 000 €
Prix net vendeur 50 000 €
Prix de vente honoraires TTC exclus 50 000 €
Honoraires TTC à la charge acquéreur 6 %

Simulation

Calcul des mensualités
Valider votre financement
* Champs obligatoires